Discover the Heart of the Lakes Area: A Two-Parcel Land & Home Opportunity
Online-Only Auction | Vergas, MN | Bidding Closes Tuesday, May 19 @ 6:30 PM
Are you dreaming of a private hilltop retreat or a sprawling 40-acre hunting paradise? We are proud to present a rare opportunity to acquire two premier parcels located in the scenic corridor between Vergas and Pelican Rapids. Whether you are looking for a turn-key residence or a blank canvas for your outdoor passions, these properties offer the best of Minnesota’s Lakes Area.
🏠 Parcel A: The Hilltop Sanctuary
46885 260th Ave, Vergas, MN 56587 | 6.22± Acres
Perched on a secluded ridge, this parcel offers the ultimate “move-in ready” lifestyle. It is perfectly suited for year-round living, a high-end seasonal basecamp, or a lucrative short-term rental.
- The Home: A charming and well-maintained 3BR, 1.75BA residence with panoramic views and modern comforts.
- The Shop Space: Includes a 24’x52’ garage and a massive 28’x48’ storage building—perfect for boats, ATVs, or a professional-grade workshop.
- The Bonus: A dedicated fish-cleaning shed, making it easy to process the day’s catch from nearby Lake Franklin.
- default
- default
- default
- default
- default
- default
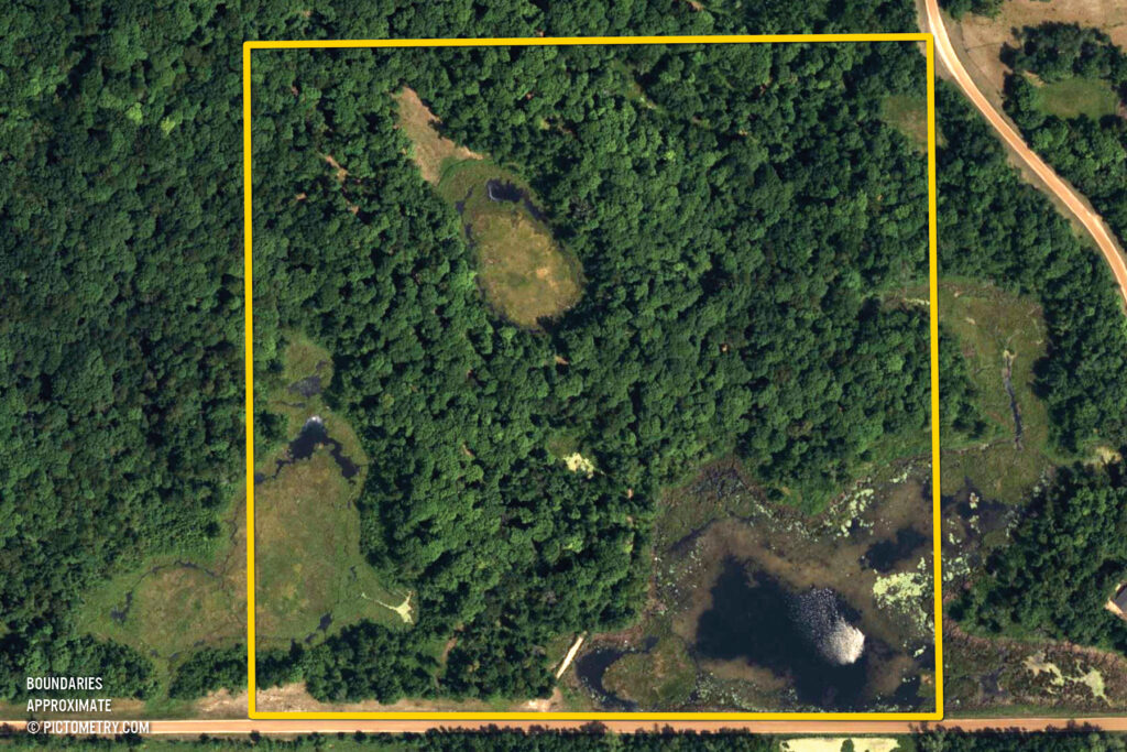
🌲 Parcel B: The Wooded Frontier
470th St, Vergas, MN 56587 | 39.95± Acres
A true sportsman’s legacy property. If you value privacy and wildlife, this is your destination.
- The Land: Rolling hills covered in mature timber, overlooking a large, secluded pond that acts as a magnet for deer, turkey, and waterfowl.
- The Potential: With excellent frontage on 275th Ave, this is a premier executive building site. Build your dream home overlooking the valley or keep it as a private hunting preserve.
- 0.9.142
👋 New to Auctions? You’re in the Right Place.
If you’ve never bid at an auction before, the process might feel new—but it is actually one of the most transparent and fair ways to buy real estate. Here is why our bidders love this format:
- You are in Control: You decide exactly what the property is worth to you. There are no “hidden” offers or “blind” bidding wars. You see exactly what the current high bid is at all times.
- Bidding from Home: Our online-only format means you can bid from your couch, your office, or on the go. No high-pressure “auction block” or crowded rooms.
- Firm Timelines: No more waiting weeks for a seller to respond to an offer. You know exactly when the bidding ends, allowing you to plan your move or investment with certainty.
- Try Before You Buy: We host two open houses so you can walk the land, tour the home, and bring your contractors or family to ensure it’s the right fit for you.
📅 The Auction Timeline & Process
Step 1: The Preview (Open Houses)
Come see the magic of these properties in person. Our team will be on-site to answer questions and show you the boundaries.
Come see the magic of these properties in person. Our team will be on-site to answer questions and show you the boundaries.
- Saturday, May 9: 9:30 AM – Noon
- Saturday, May 16: 9:30 AM – Noon
Step 2: Registration Visit Our Bidding Platform to create a free account. You’ll be able to “watch” the parcels and receive notifications if someone outbids you.
Step 3: The Bidding Period
Bidding is open now! You can place a one-time bid or set a “max bid” and let the system bid on your behalf up to your limit.
Bidding is open now! You can place a one-time bid or set a “max bid” and let the system bid on your behalf up to your limit.
Step 4: The Closing
Bidding concludes Tuesday, May 19, 2026, at 6:30 PM CDT. If a bid is placed in the final minutes, the clock resets for a few extra minutes to ensure everyone has a fair chance to respond—just like a live auctioneer saying “Going once, going twice!”
Bidding concludes Tuesday, May 19, 2026, at 6:30 PM CDT. If a bid is placed in the final minutes, the clock resets for a few extra minutes to ensure everyone has a fair chance to respond—just like a live auctioneer saying “Going once, going twice!”
Step 5: Closing the Sale
The winning bidder will enter into a standard purchase agreement and provide earnest money, with a traditional closing to follow (usually within 30-45 days).
The winning bidder will enter into a standard purchase agreement and provide earnest money, with a traditional closing to follow (usually within 30-45 days).
Have Questions? Let’s Chat.
We want you to feel 100% confident on auction day. Whether you have questions about the land, the home, or how to use the bidding app, reach out to Mike Schultz at 320-232-0850 or send an email to [email protected]
Experience the beauty of Otter Tail County. Your new chapter starts here.
















